backtopfwd

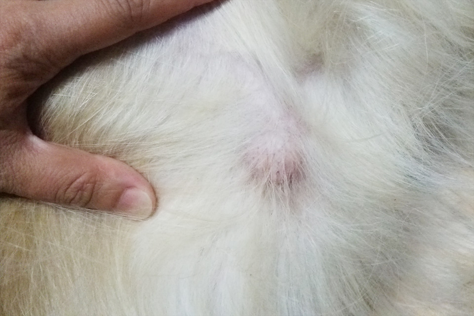
お腹の小さなオデキがちょっと大きくなってると言っては…すわっ大騒ぎ。